Zobacz załączoną galerię online na:
https://www.powiat.elblag.pl/pl/strona-glowna-2/9957-zarzad-powiatu-w-elblaguk-oglasza-ii-ustny-nieograniczony-przetarg-na-sprzedaz-nieruchomosci-stanowiacej-wlasnosc-powiatu-elblaskiego-polozonej-w-obrebie-sakowko-gm-paslek#sigProIdd664d571ce
https://www.powiat.elblag.pl/pl/strona-glowna-2/9957-zarzad-powiatu-w-elblaguk-oglasza-ii-ustny-nieograniczony-przetarg-na-sprzedaz-nieruchomosci-stanowiacej-wlasnosc-powiatu-elblaskiego-polozonej-w-obrebie-sakowko-gm-paslek#sigProIdd664d571ce
pdf
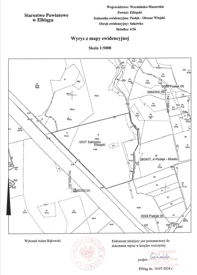
1Ogłoszenie II ustny przetarg obr Sakówko, gm Pasłęk dz nr 4 26
(104 KB)
pdf
(125 KB)
Powiat Elbląski









